Viatge a Ítaca

Dia 413: Comencem a fer dive a Labuan Bajo

9 comentaris

26 de juliol

Doncs si, avui ha arribat el dia, per això hem vingut fins a aquest lloc perdut d’Indonèsia. Tot i que ja sabem que a Flores també s’hi ve per anar a veure tribus, nosaltres hem vingut a l’illa de Flores per fer-hi submarinisme, els nostres amics de Ihasia ens ho van recomanar, i nosaltres no som de no fer cas a recomanacions.

I la veritat és que en teníem moltes ganes de tornar a submergir-nos i gaudir de la vida que hi ha sota l’aigua, i si a sobre és en un lloc que diuen que és impressionant, doncs llavors ja no us dic.

Les immersions del dia ja les havíem contractat via email amb els de Komodo Dive Center (que ahir ja ens van organitzar l’excursió per anar a veure els dracs). I la veritat és que nosaltres també hi hem quedat encantats, tant amb l’organització com amb els seus dive masters, realment encantadors!!!

Ara, com sempre que toca fer dive, també s’ha de matinar, i a quarts de sis ja sonava el despertador i amb els ulls mig tancats toca posar-se les lentilles. Tasca no molt fàcil, però que cada vegada se’m dona millor.

I per poder fer exercici primer toca esmorzar una mica per omplir la panxa i tenir reserves no?? Així que un bon pancake de plàtan al nostre guesthouse, que ens entra amb el preu de l’habitació, i cap a la tenda dels de Komodo Dive Center on hi hem d’estar a les 7:15 del matí.

LabuanBajo

Un cop hi som tots… cap al vaixell, on ens espera un segon esmorzar!!! Si!!! donuts i pastes només començar el dia… Em sembla que ens agradarà aquesta manera de fer 😉

Komodo18

El vaixell està estructurat d’una forma diferent als que havíem anat fins ara, ja que la zona per posar-se l’equip és petita i està la part del darrera. Al mig hi ha una zona de descans amb un parell de sofàs i una taula. I el millor de tot és a la part de dalt, on és ple de matalassos i grans coixins, per poder prendre el sol i descansar entre immersió i immersió.

Una estona de relax i reunió per explicar-nos com serà la primera de les immersions, que serà a Castle Rock. Segons ens diuen té molt bona pinta, però haurem de vigilar amb el tema corrents, una cosa que fins ara no hem tingut en cap de les immersions que hem fet, i a més, sembla que només baixar del vaixell ja haurem de fer la immersió sense cap preludi. A veure com anirà…

DCIM100GOPRO

Al Mario i a mi ens posen junt amb una altra noia, i ens guiarà una dive master russa que es diu Jena. Li explico el meu problema amb el pas de gegant, i em diu que em preocupi, que em puc seure i deixar-me caure, que l’aigua està a tocar del vaixell. Així que ja més tranquil·la em poso l’equip i… cap a l’aigua!!!

Komodo19

Komodo20

Però entre baixar, anar fins on són tots i quan comencem a baixar… m’entra aigua a les ulleres, me l’intento treure, i me n’entra més… em començo a agobiar i … decideixo sortir, tot i que em perdi la immersió no vull començar-la amb les ulleres plenes d’aigua i jo sense gaudir-la perquè m’estic posant nerviosa.

Surto fora i el nostre vaixell està una mica allunyat, però un altre ve a buscar-me, però com el nostre també m’ha vist torna a rescatar-me i només pujar… Encara queda el grup de l’Oscar per saltar i el seu dive master, el willy em diu… Vens amb mi? I jo, val, però he tingut un problema amb les ulleres. Ell somriu i respon: cap problema, et deixo les meves!!!

I tal dit, tal fet, ja torno a ser l’aigua amb el seu grup i cap avall, aquest cop sense cap entrebanc.

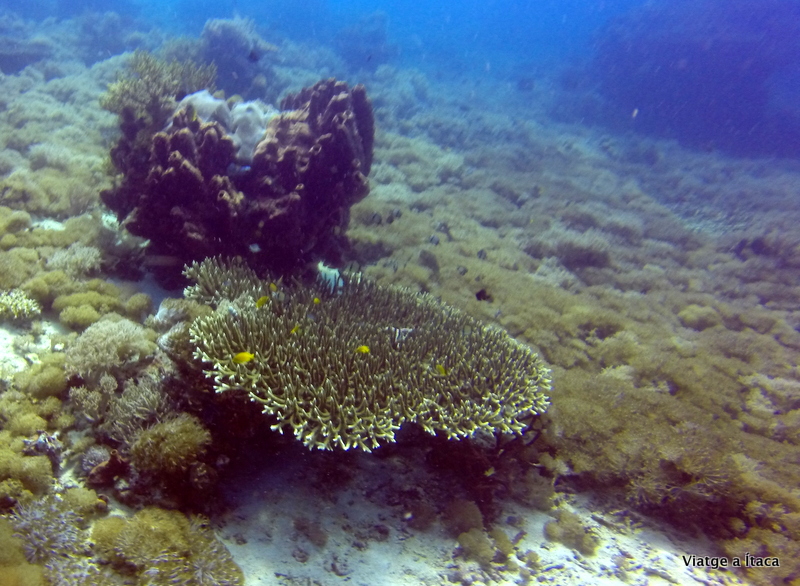
Anem baixant i de cop el Willy ens senyala un lloc on agafar-nos, ja que aquí les corrents són molt fortes, i un cop situats, comença l’espectacle!! La sensació és com estar en un cinema o en el aquari de Sydney, ja que davant nostre van passant bancs de peixos i…. taurons de punta blanca, un rere un altre, realment impressionant!!!

DCIM100GOPRO

DCIM100GOPRO

I després d’una estona el Willy ens diu que ens deixem anar i pugem una mica, però deixant-nos portar per la corrent, ufff quina sensació més extranya!!! Això de no controlar cap on vas… no sé, no sé…. i un altre cop a agafar-nos i gaudir del que passa per davant.

I així hem anat fent fins arribar a dalt, on al pujar m’he retrobat al Mario que clar, no sabia que havia passat, i havia estat una mica preocupat, però és que no tenia forma d’avisar-lo ☹ Això dels whatsapps no funcionen sota l’aigua… ☺

Te, galetes, descans… i un altre reunió per explicar-nos la següent immersió, aquest cop a The Cauldron.

Aquest cop no he tingut problemes en fer la immersió i puc fer-la amb el Mario, i el nostre grup. Ens capbussem, i al arribar a baix comencem tranquil·lament, sense massa corrent, i al primer moment veiem una tortuga. Aixxx com m’agraden, no sé, els peixos de colors de tot tipus ja m’agraden molt, però quan veig una tortuga… és que em tenen enamorada!!!

DCIM100GOPRO

DCIM100GOPRO

DCIM100GOPRO

DCIM100GOPRO

Anem tirant i finalment arribem a un lloc amb molta corrent on la Jena fa que ens agafem a un roca per poder observar al igual que a Castle Rock grans peixos passejant-se per allà. Ara, mentre estem agafats intento fer fotos i clar, no és gaire fàcil agafar-se a les roques amb l’esquerra i anar fent fotos amb la dreta, resultat… Tota la mà dreta rascada i amb picades de coralls i anemones…

DCIM100GOPRO

DCIM100GOPRO

D’aquesta zona amb molta corrent tornem cap a una altra amb molta menys, però primer de tot passant per una mena corredors o la corrent és la que et porta, un lloc idoni perquè el Mario posi puny endavant i faci una estona de Superman.

Acabem en una mena de pinacle amb molts colors i peixets, on anem una mica més amunt i fem la parada de seguretat.

DCIM100GOPRO

DCIM100GOPRO

DCIM100GOPRO

Ara a descansar una mica que ja toca, i mentre ho fem una mica de solet i dinar. Diferents plats indonesis posats en una carmanyola per evitar fer més brutícia d’elements no biodegradables de la que ja hi ha per aquestes contrades.

Una mica de migdiada a la part de dalt del vaixell ens va bé per descansar abans de fer l’última de les immersions del dia.

Ara parem a Tatawa Besar on amb una mica menys de corrent podem veure tortugues i algun tauró de punta blanca, però que la càmera amb tanta acció no pot gravar ja que se’ns ha acabat la bateria.

DCIM100GOPRO

DCIM100GOPRO

DCIM100GOPRO

No dominem molt el tema de fer fotos i vídeos amb la gopro, però segur que n’anirem aprenent i a més aquí amb el tema corrent ho ha fet més difícil. Però el més important és el que ens enduem nosaltres, i aquestes tres immersions han sigut una passada, i a més cada una totalment diferent de les altres.

DCIM100GOPRO

DCIM100GOPRO

També ens ha encantat el bon rotllo que tenen els instructors, entre ells evidentment i amb nosaltres, i tots sobretot preocupant-se de que ens sentim be en tot moment.

Així que destrossats però molt feliços tornem cap a Labuan Bajo, tot relaxant-nos a la part de dalt del vaixell i xerrant amb els instructors, i la resta de gent que ha estat fent diving amb nosaltres.

Una dutxa, roba neta i… a sopar i fer les primeres cervesetes amb l’Oscar que ahir estàvem tant cansats que no vam ser capaços, però avui tot i el cansament també ve de gust posar-se al dia, i comentar tot el que hem pogut veure sota l’aigua.

LabuanBajo2

LabuanBajo3

I ara ja si, anem a dormir que demà segur ens esperarà un dia igual d’emocionant que el d’avui!!!

Informació pràctica:

– A Labuan Bajo hem vist dos caixers, un gairebé davant del Komodo Dive Center on pots treure com a màxim 2000000IDR, i un altre una mica més allunyat on màxim pots treure 2500000IDR

– Hem sopat a The Lounge que té a la part de dalt una terrasseta on s’està d’allò més bé, i a més té molt bones vistes.

– Les immersions amb Komodo Dive Center costen 1300000IDR. En aquest preu s’inclou tres immersions, te, cafè i pastes al matí, dinar, fruita i galetes per la tarda. Els recomanem totalment.

9 thoughts on “Dia 413: Comencem a fer dive a Labuan Bajo

  1. albert bordons serra's avatar

    Per fi eu pogut tornar a fer immersions i disfrutar del fons del mar amb les meravelles fantàstiques que es podent veure .Felicitats. Mols petons, Albert, (Avi).

  2. Albert Bordons's avatar

    Xulíssim, i les fotos molt bé !
    El millor el drac bussejador damunt el llit !

  3. gloria bordons's avatar

    Quines fotos més meravelloses! És que el fons del mar, i més en aquelles contrades, és únic!!

  4. ursumarc's avatar

    Guapos, quines ganes de ficar-nos a l’aigua, ens apuntem les vostres recomanacions! Gràcies!

Deixa un comentari