Viatge a Ítaca

Dia 327: Veient peixets a la Gran Barrera

6 comentaris

01 de maig

Avui no he dormit gairebé, serà pels nervis del que m’espera? Avui podré gaudir d’una de les coses que més desitjava veure a Austràlia després de l’Uluru. Si, avui és el dia que sigui jo qui vagi a la gran barrera de coral.

A més, després de 327 dies serà el primer cop que no compartiré l’experiència amb el Mario, ell la va sobrevolar i jo, que soc una mica peixet, l’aniré a observar des de dins, primer fent una immersió i després fent snorkel.

Em salten mil preguntes al cap sobre el que veuré, i sobretot si satisfaran les meves expectatives, així que prefereixo no fer-me il·lusions i tot el que vingui segur que ho gaudeixo.

Per tant, ara mateix ja soc al vaixell i acabo de deixar el Mario al moll on a la tarda em vindrà a buscar. I ara una horeta i quart fins a l’illa Lady Musgrave, una illa coral·lina amb una gran llacuna on podré veure la vida que s’hi mou per allà.

GranBarrera8

Apa, més tard us segueixo explicant la meva aventura…

Ufff, ha sigut deixar-vos i començar a marejar-me, i mira que estava a la part de dalt del vaixell i em tocava una mica l’aire eh?? Però suposo que no em tocava suficient i a més no crec que hagi sigut bona idea prendre un bon got de llet abans de pujar al vaixell. Així que el trajecte fins a l’illa no ha sigut molt agradable intentant no vomitar, però a sobre quan ja casi arribàvem ho he tret tot i tot.

GranBarrera7

Així que només arribar no estava d’allò més bé i apa…. cap a fer una immersió!!! La veritat és que comparat amb on havíem bussejat anteriorment, aquí no hi ha gaire (per no dir gens) organització, i tenir tot l’equipament preparat i pujar a la barca que ens hi portarà ha sigut una mica caos… de fet tampoc és que tinguin molt equip preparat per bussejar, i d’aletes de peu no gaire gran no en tenien, i he hagut d’agafar de les que tenen preparades per fer snorkel.

Per tant, encara mig marejada i totalment descol·locada ja era a la barca amb el neoprè i l’equip preparat, i anant en direcció a la part de fora de la llacuna coral·lina que està al voltant de l’illa.

La baixada a l’aigua i la immersió cap al fons han sigut igual de caòtics que la resta, a més abans de tirar-nos a l’aigua li he dit al instructor que jo no feia el pas de gegant, que em causa pànic, i primer ha dit que ho havia d’intentar, us imagineu que a partir d’aquest moment ja no m’ha caigut gens bé oi? Finalment suposo que m’ha vist la cara, i m’ha dit que podia baixar per les escales (vamos per donar-li de menjar apart).

Un cop a l’aigua i quan estàvem tots junts ha dit… cap a baix i jo he començat a submergir-me al igual que un altre noi que semblava que dominava força, i de cop, quan ja era a baix de tot, veig que els altres encara no havien baixat… una cosa molt rara… i de cop… aixxx un tauró de punta blanca passant pel costat!!!

Finalment han baixat tots i ja hem començat a bussejar per la zona, però sense massa ordre ni concert, i l’instructor bàsicament anava controlant una mica.

La immersió en si no és de les millors que he fet (potser ha sonat una mica pedant?), tot i que hem vist de lluny una tortuga i un altre tauró, la resta de corall ni havia poc, i de peixets de tant en tant. El que si que teníem era una visibilitat boníssima, però semblava com molta estona de només sorra i de tant en tant trossos de corall amb vida de peixets.

En resum, no ha estat malament, però crec que no recomanaria pagar per fer aquesta immersió.

L’arribada al ponton (lloc on s’hi pot passar el dia, menjar, fer snorkel, inclús veure els peixos des de una part submarina) ha sigut igual de caòtica que la sortida, sense saber que fer exactament amb tot l’equipament, així que l’he recollit com he pogut i a dinar!!! El dinar era tipus buffet i no estava gens malament, així que amb la gana que tenia motivada tant per la immersió, com per haver-ho tret tot abans, he fet un bon dinar.

Amb la panxa plena ja he anat directa al aigua (tot i que podria haver agafat la barca que portava a l’illa, però he preferit fer snorkel que per això havia vingut).

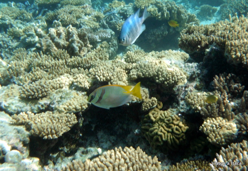
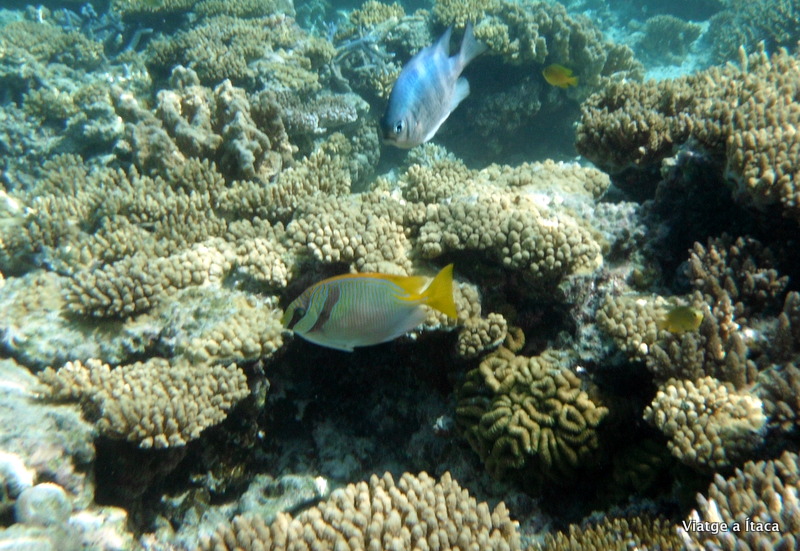
Aquí si que puc dir que el snorkel ha sigut impressionant!!!! Els coralls estan a tocar de superfície i per tant només nadant ja pots veure una quantitat de corall i peixos increïbles!!!

GranBarrera

GranBarrera3

De fet, gairebé has de vigilar per no posar-t’hi a sobre i danyar el corall. A tocar del ponton hi ha una gran part de corall de milers de colors i formes diferents on hi trobes centenars de peixets de moltíssims colors, això si que és el que volia veure!!! Realment meravellós!!!

GranBarrera2

GranBarrera4

Com podeu imaginar m’hi he estat tota l’estona que he pogut, gairebé fins que marxava el vaixell, i tot donant voltes… he vist un altre tauró!!! Si, si, dins de la llacuna. El que no ha volgut tornar a aparèixer ha sigut la tortuga, sembla que era tímida…

GranBarrera5

GranBarrera6

GranBarrera10

Acabada l’estona de poder estar a l’aigua ja ha tocat el viatge de tornada, al com us podeu suposar li tenia una mica de por, per com havia anat l’anada. Per tant, he decidit no seure a dalt i estar a baix però a la part de darrera on tocava l’aire a la cara, i tot i no poder seure, així no em marejava. A part, la tornada ha sigut molt més calmada.

GranBarrera9

Al arribar al port s’estava posant el sol i la imatge era preciosa a part de haver-hi uns quants pelicans per allà 😉

AgnesWaters7

AgnesWaters6

Pel que sembla des del port, la posta de sol també era maquíssima i el Mario que ja hi era esperant-me, ha fet moltíssimes fotos.

AgnesWaters5

AgnesWaters4

AgnesWaters3

AgnesWaters2

AgnesWaters

Per acabar el dia un bon soparet tot explicant-li al Mario el dia sencer, i explicant-me ell que no s’ha acabat de trobar bé al matí, i ha estat descansant. Després ha anat a la biblioteca a escriure una mica i parlar amb la seva mare, que avui és el seu aniversari, així que des d’aquí… Felicitats Irene!!!

Informació pràctica:

– L’excursió amb Lady Musgrave Cruises és totalment recomanable per fer snorkel, però no us recomanaria fer busseig, la gent que ho porta no són massa professionals i el que es veu és més espectacular fent snorkel que no bussejant. El preu de l’excursió de dia amb dinar inclòs i també tè i cafè i pastes al matí i a la tarda són 190$, una immersió són 60$ més.

– A la biblioteca de Agnes Waters hi ha wifi gratuïta que tot i no ser excel·lent però per connectar-se una estona no està malament.

6 thoughts on “Dia 327: Veient peixets a la Gran Barrera

  1. Albert Bordons's avatar

    O sigui, que si algun dia hi anem, no cal haver après a bussejar: amb les ulleres i el tub i els peus d’ànec de tota la vida (o sigui, snorkel) ja n’hi ha prou !
    Mecatxis el mareig, no m’estranya, un got de llet abans, eccs…
    Molt xulos els peixets i el corall, i les fotos de al posta de sol !!

    • Viatge a Ítaca's avatar

      Tu ho has dit, amb ulleres i tub i cap a l’aigua ja n’hi ha suficient!!! 😉 sii un bon mareig que vaig agafar!!! sort que després amb els peixets se’m va treure 😉 la posta de sol preciosa!!!

  2. albert bordons serra's avatar

    Vaja, el mal rato passat amb el mareig i el corresponent ! regal ! . Però totes les fotos son fantàsticas i molt complert les coses que son tan variables, con la gran barrera,els tauros i peixos etc.. Petons, Albert.

  3. gloria bordons's avatar

    Llàstima del mareig, perquè la capbussada deu haver estat genial (almenys per les fotos). Em recorda una mica quan vam estar a los cayos de Veneçuela i vaig estar nedant amb ulleres (allò que en diríem capbussar-se, vaja, en lloc del sofisticat anglicisme “snorkel”): feia la impressió d’estar dins d’un aquari.

Deixa un comentari